Property Description

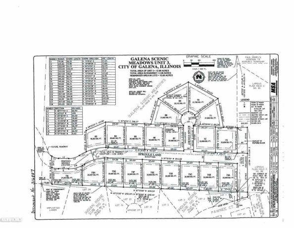
Rear sloping wooded lot sited within Galena Scenic Meadows Subdivision, a location offering a secluded feel within the city in a convenient location not far from schools and shopping. Subdivision offers access to city water and sewer, has sidewalks in place, and adjoins Indian Ridge Subdivision. Covenants and restrictions apply. Seller is Real Estate Licensee.

Location
US
IL
GALENA
61036
Sproule
Lot 65
W91° 34' 5''
N42° 25' 53''
Lot 65 Sproule Lane
Additional Information
ACTIVE and AVAILABLE
City/Community
City/Community
HEIM
COLDWELL BANKER NETWORK REALTY
14385
$0
$0
Galena
Galena
Galena
Galena
09/02/2016 19:01:00

Lot 65 Sproule GALENA, Illinois 61036

Land For Sale
$24,900

Reference ID: 132001

Basic Details
Property Type : Land
Price : $24,900
Acres : 0.47
Agent info

This listing is courtesy of

DAMON HEIM

COLDWELL BANKER NETWORK REALTY

Request More Information